再铸新基业,起笔未来章
--战略购地擎画智造新纪元
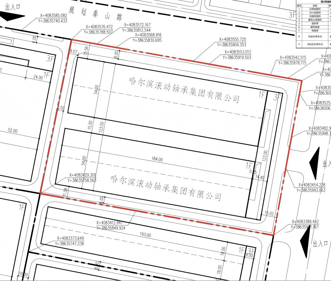
近日,随着一声铿锵有力的落槌声——哈尔滨滚动轴承集团与临西县政府签署33737平方米(50.16亩)土地成交确认书。标志着哈尔滨滚动轴承集团以坚实的“土地落子”,开启了进一步优化产品结构、推动技术质量升级的新征程,一幅承载着光荣与梦想的宏伟蓝图就此铺展。

此次战略布局临西的四大核心意义如下:
一、战略南进:落子临西,构筑南北联动新格局。
临西,这座被誉为“中国轴承之乡”的产业重镇,不仅地处京津冀协同发展的黄金腹地,更拥有深厚的轴承产业积淀与完整的供应链生态。哈尔滨滚动轴承集团此次精准落子,绝非简单的产能扩张,而是深思熟虑后的战略棋眼。
1、贴近市场:辐射中原与华东,华北及周边地区是中国装备制造业的密集区,新生产基地将极大缩短服务半径,提升对核心客户的响应速度与供货保障能力,强化市场渗透力。
2、融入集群:汲取上下游产业养分,深度融入临西成熟的轴承产业集群,有利于实现供应链协同、技术工人共享与产业知识外溢,在竞争与合作的良性生态中淬炼自身。
3、南北呼应:优化资源配置,形成哈尔滨总部研发管理与高端制造、临西基地规模化生产与区域服务相辅相成的“南北双核”驱动格局,实现资源的最优配置与战略协同。
二、结构之变:淬火成钢,锻造高端产品矩阵。
新生产基地的建设,将承载着哈尔滨滚动轴承产品结构系统性优化的核心使命,向“高、精、特、新”的聚焦突破。
1、向高端突破:生产线将重点向精密机床轴承、高速电机轴承、新能源装备轴承等附加值高、技术壁垒强的领域倾斜,集中力量攻克“卡脖子”环节,替代进口。
2、向专业深耕:依托临西产业生态,强化在重型卡车、农业机械、通用减速机等细分领域轴承的专精特新优势,做深做透,成为不可替代的配套专家。
3、向智能化转型:新基地将从规划源头植入智能基因,生产流程数据化、产线柔性化,满足客户小批量、多品种、快交付的定制化需求,实现从“标准化制造”向“敏捷化智造”的蜕变。

三、质量革命:精益求精,定义行业可靠新标准。
“质量升级”是刻入新生产基地骨髓的基因。哈尔滨滚动轴承旨在将临西工厂打造为行业质量标杆与可靠性典范。
1、装备筑基:引进国际顶尖的高精度磨削设备、全自动装配线、智能化检测仪器,以“硬实力”保障产品基础的微观精度与一致性达到国际先进水平。
2、体系护航:全面导入基于数字化的全生命周期质量管理体系,实现从原材料入库到成品出厂的全流程可追溯、可监控、可优化,让每一套轴承都拥有自己的“质量档案”。
3、文化浸润:将哈尔滨滚动轴承的“工匠精神”与严谨的质量文化根植于临西,通过制度、培训与激励,使“一次做对、追求零缺陷”成为每一位员工的自觉行动。
四、未来基石:沃土新苗,孕育无限生长可能。
此次战略落子,是哈尔滨滚动轴承面向未来投下的信心之锚,其意义远超当下:
1、产能释放与新增长极:新生产基地达产后,将显著提升哈尔滨滚动轴承整体产能与交付能力,形成强大的规模效应,成为企业收入与利润的强劲新引擎。
2、技术与人才新高地:它将不仅是生产中心,更将成为面向华北的应用研发中心与客户技术服务中心,吸引当地高端人才,形成“产销研”一体化的区域创新枢纽。
3、资本与品牌价值跃升:成功的异地扩张与结构优化,将向市场清晰传递哈尔滨滚动轴承卓越的战略执行力与成长确定性,显著提升企业在资本市场与行业格局中的品牌形象与估值定位。

经纬天地,轴承未来。从松花江畔到运河之滨,哈尔滨滚动轴承跨越千里的布局,勾勒出一幅雄心勃勃的发展经纬。在临西这五十亩热土上,即将拔地而起的不仅是现代化的厂房与产线,更是一座质量信仰的堡垒、结构升级的引擎、未来增长的基石。
沃土已获,宏图已展。哈尔滨滚动轴承未来,其道大光!
【哈尔滨滚动轴承制造有限公司】
网址:http://www.hrbhagd.com
邮箱:hrbhagd@163.com
地址:哈尔滨长江路1055号HBP总部基地28-1号
联系电话:0451-51062699 400-6807767


发布时间:2025-12-18
点击率:42
